조황관리HOME / 조황관리 / 상세정보

제목 : 볼락루어에 긴꼬리 벵에돔이 ~
등록일 : 2026-03-18



























안녕하세요 
통영 척포힐링호 입니다 
좋은기상속에 멀리 원도권으로 다녀왔습니다 
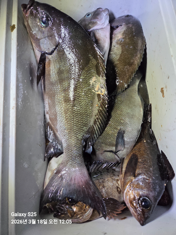
싸이즈좋은 볼락 
싸이즈좋은 긴꼬리 벵에돔이 많이나온하루 이네요
삼십중반에서 사십에 가까운 놈들까지 체포하고
왔습니다 
기상만허락하면 왕사미찾아 쭈ㅡㅡ 욱 달립니다 
함께하실분 연락주세요 

==== ★ 기상만 허락한다면 매일 출조합니다! ★=== 

* 척포에 명가이드 선장이 열심히 가이드해 드리겠습니다 
   7톤급 5톤급 두대운영합니다
   언제든 문의주세요

▶ 예약문의 힐링호 김선장 휴대전화 : 010-4906-5444 
▶ 도시락ㆍ커피ㆍ생수 제공 
홈페이지 바로가기 : http://healingho24.sunsang24.com/
※ 구명조끼와 신분증 필참 ※ 
※ 선내음주금지(음주단속) ※ 
※ 구명조끼 착용 필수~(없으신 분은 선내 비치되어있습니다.) ※ 
※ 7톤급 신조선의 편의시설과 안전에 최선을 다하였습니다! 
※ 캔커피는 배에 비치되어 있어요~! 

******************◐ 오시는길 ◑****************** 
신주소 : 통영시 산양읍척포길192 
구주소 : 통영시 산양읍미남리355-10번지 
☎ 휴대폰 : 010-4906-5444 
★ 부재시 문자 남겨주시면 바로 연락드릴께요.★ 


모바일.jpg 

Top